MLS Listings for Northern BC Canada


LOADING

2404 Kenney Street Terrace, British Columbia V8G 3E3

$669,000

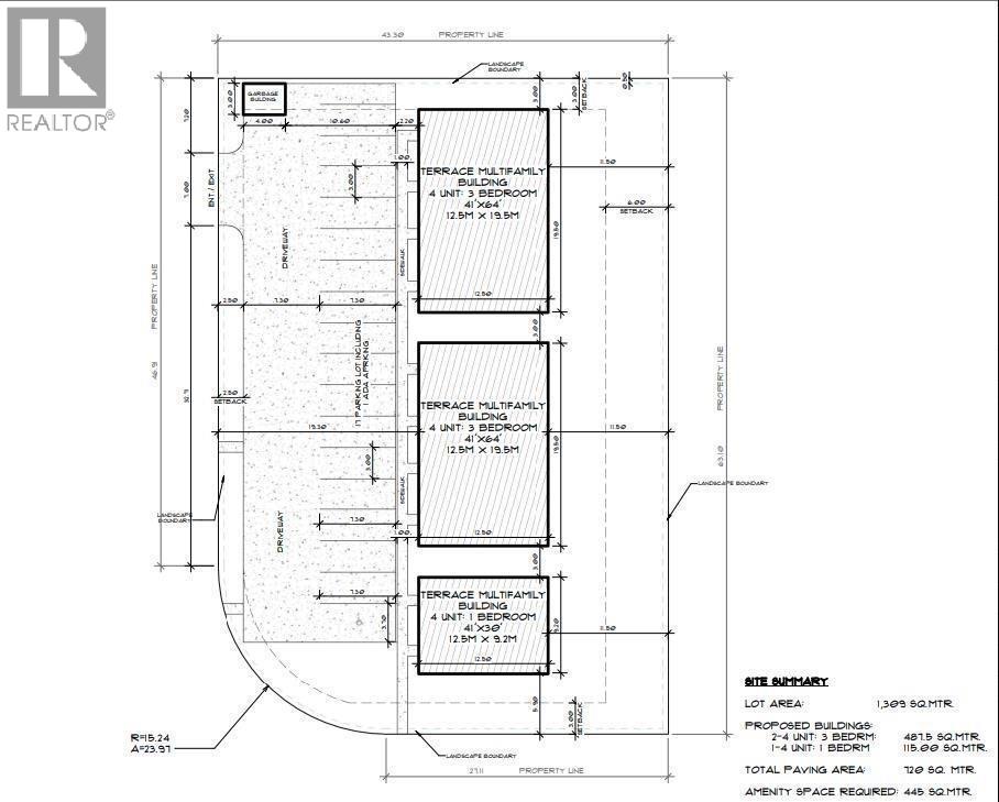
This property has municipal support for up to 12 residential units. Cleared and built up to meet the 200 year flood plane restrictions this lot is well located on Terrace's Southside, just a few blocks from the hospital, and within walking distance to primary schools. This property makes sense and is development ready. Renderings available upon signing an NOA. Also on Commercial - see MLS# C8076434 (id:5136)

Property Details

MLS® Number R3092467
Property Type Vacant Land
ViewType View

Building

ConstructionStyleAttachment Unknown
UtilityWater Municipal Water

Land

Acreage No
SizeIrregular 0.66
SizeTotal 0.66 Ac
SizeTotalText 0.66 Ac

https://www.realtor.ca/real-estate/29389489/2404-kenney-street-terrace

Interested?

Contact us for more information


Generating Captcha