MLS Listings for Northern BC Canada


LOADING

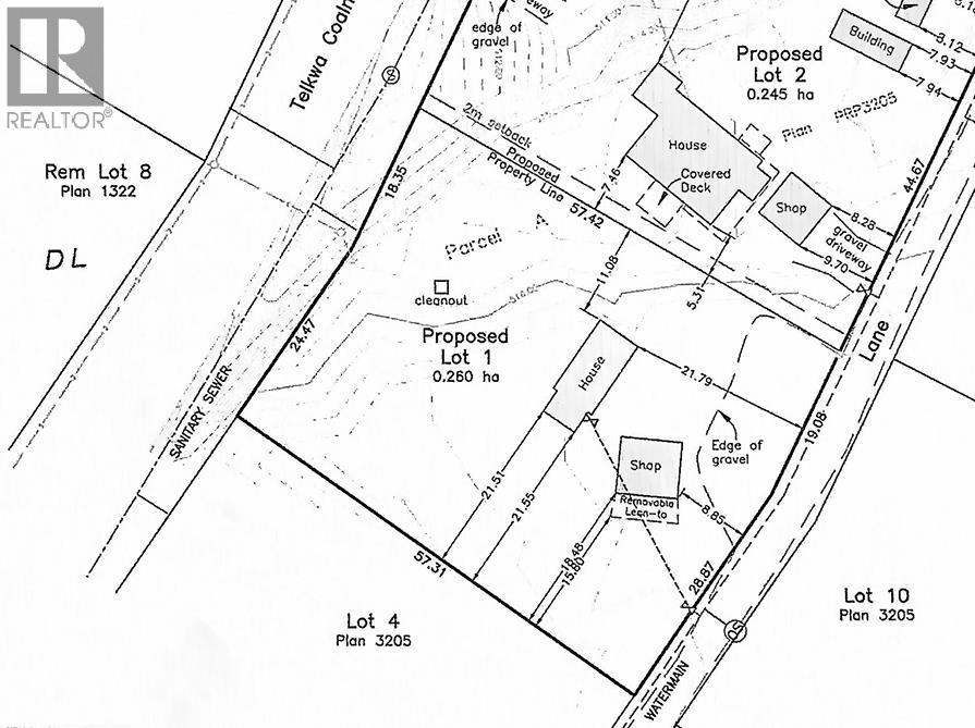
Lot B Coalmine Road Telkwa, British Columbia V0J 2X0

$169,000

Prime 0.64-acre lot in Telkwa, BC, ready for your future home. Zoned R-2 and serviced with municipal water and sewer at the lot line, this property offers excellent potential for a single-family dwelling with added flexibility. The mostly level terrain with gentle undulation provides an ideal building site, while mature tree coverage offers privacy and a natural setting. Improvements already in place include a wired and plumbed shop with concrete floor—perfect for projects, storage, or future use—as well as a chicken coop for those looking to embrace a more self-sufficient lifestyle. Ample on-site parking adds convenience and functionality. A great opportunity to build in a quiet community while enjoying space, services, and existing infrastructure. (id:5136)

Property Details

MLS® Number R3101521
Property Type Vacant Land

Building

ConstructionStyleAttachment Unknown
UtilityWater Municipal Water

Land

Acreage No
SizeIrregular 0.64
SizeTotal 0.64 Ac
SizeTotalText 0.64 Ac

https://www.realtor.ca/real-estate/29491390/lot-b-coalmine-road-telkwa

Interested?

Contact us for more information


Generating Captcha